6
  • Property Type
  • Commercial, Land
  • sqft
  • Area Size

180 E 1000 N , Tooele, UT 84074

  • $496,584

Description

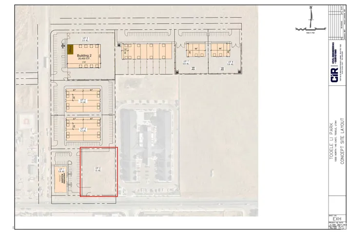
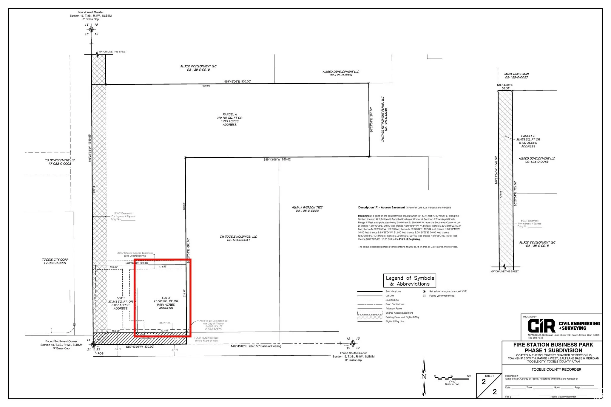
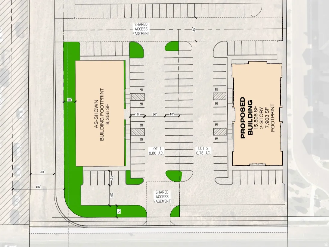
.76+/- Acres for sale in the heart of the growing part of Tooele! Price is $15 per sqft and will adjust according to final plat. Fronting busy 1000 N, this location would be perfect business seeking convenience and exposure. Lot #1 is under contract with an Optometrist office that will drive a lot of traffic and boast a state of the art medical building. Site plan is large enough for a two-story building of 15,806 sqft. Or a one-story building of 7,903 sqft. See photos for concept site plan. Reach out with questions!

  • Address: 180 E 1000 N
  • City: Tooele
  • State/county: UT
  • Zip/Postal Code: 84074
  • Country: US

Details

Updated on April 21, 2026 at 11:13 pm
  • Property ID 2115432
  • Price $496,584
  • Land Area 0.76 sqft
  • Garage Size x x
  • Property Type Commercial, Land
  • Property Status Active

Additional details

  • Listing Terms Cash, Conventional
  • Utilities Sewer: Public,Gas: Stubbed,Power: Stubbed
  • Sewer Sewer: Public
  • County Tooele
  • Property Type Land
  • Elementary School Anna Smith
  • Middle School Tooele
  • High School Tooele

What's Nearby?

Please supply your API key Click Here

Similar Listings

Compare listings

Compare