3
  • Property Type
  • Commercial, Land
  • sqft
  • Area Size

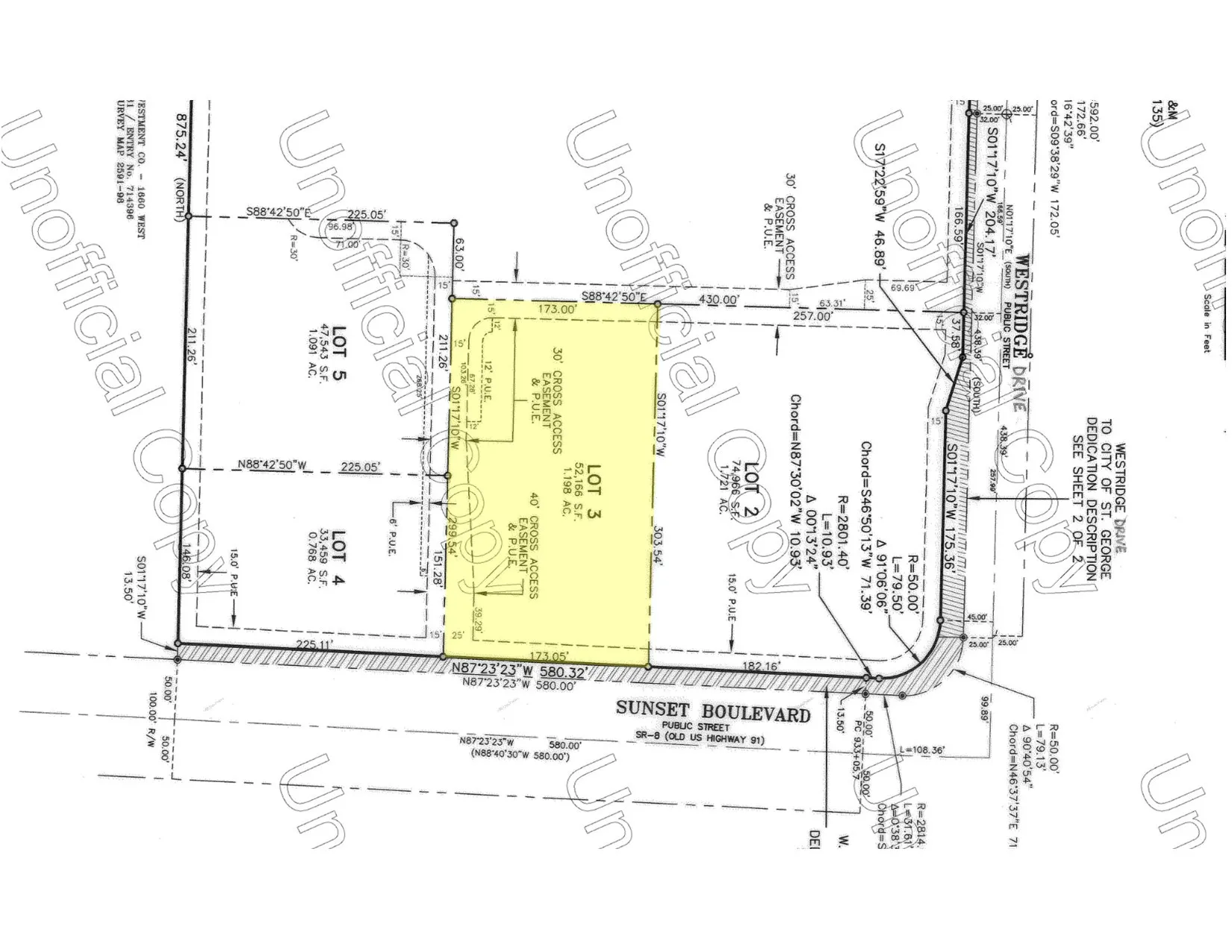
1594 W SUNSET N BLVD, St. George, UT 84770

  • $1,568,160

Description

Prime restaurant/retail/office site with frontage on Sunset BLVD. It is in front of the Home Depot, adjacent to America First Credit Union and a Carls Jr restaurant. This commercial building lot is considered lot 3 of the Home Depot – Westridge Commercial Subdivision and is ready for a building permit.

  • Address: 1594 W SUNSET N BLVD
  • City: St. George
  • State/county: UT
  • Zip/Postal Code: 84770
  • Country: US

Details

Updated on February 11, 2026 at 7:09 pm
  • Property ID 1875834
  • Price $1,568,160
  • Land Area 1.2 sqft
  • Garage Size x x
  • Property Type Commercial, Land
  • Property Status Active

Additional details

  • Listing Terms Cash, Conventional
  • Utilities Natural Gas Available,Gas: Not Connected,Electricity Available,Power: Not Connected,Sewer Available,Sewer: Not Connected,Sewer: Public
  • Sewer Sewer: Available,Sewer: Not Connected,Sewer: Public
  • County Washington
  • Property Type Land
  • Elementary School Paradise Canyon
  • Middle School Snow Canyon Middle
  • High School Snow Canyon

What's Nearby?

Please supply your API key Click Here

Similar Listings

Compare listings

Compare